Föremål

Blå knäbyxor till karolinsk uniform.

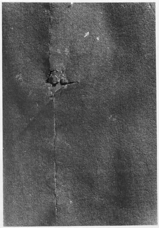
Byxor sydda i blått kläde och fodrade med vit sidentaft; knäppta med lucka framtill och midjelinning; mindre, bukiga och förgyllda mässingsknappar, två i midjan och en på vardera sida luckan. På var sida om luckan sitter det en mindre stolpficka fodrad med vit sidentaft, vilken kan knäppas med en förgylld mässingsknapp. I sömmen till luckan, på framstyckena, sitter ytterligare två fickor fodrade med orange siden. Ytterligare en ficka finns i vardera yttersöm fodrade med orange siden. Baktill, i midjelinningen finns ett v- format sprund med sydda hål på vardera sida för att reglerara middjevidden. Byxorna har skador efter vad som verkar vara kulhål på höger sida. Även andra mindre skador finns också. Invändigt är fodret fläckat med blod. Kläderna har använts av kung Fredrik I då han som generalissimus för svenska hären, kl 9 på förmiddagen den 27: e februari 1716 blev skjuten i högra låret under en recognisering i Norge.

Museum
Livrustkammaren
Föremålsbenämning
Kategori
Material
Storlek
  • Längd 770 mm
  • Bredd 490 mm (midja)
  • Vikt 25 g
Teknik
Antal
1
Datering
1716
Tidigare ägare
Fysiska egenskaper
  • Färg: Mörkblå
  • Färg: Vit
  • Färg: Orange
  • Färg: Guldfärgad
Föremålsnummer
20756_LRK
Andra nummer
Nr 1867: 3478:c
Historisk händelse
Relaterat objekt
Tillhörande texter
Typ
Äldre inventarium
Datum
1748
Text
Ett par Böxor af samma slags blå Kläde,s amt hwitt Lärft foder hwar på blodet ännu finnes,där Kuhlan i högra Låhret genomgådgt och träffat. Rubrik: Hans Kongl. Maijsts Konung Friedrichs Kläder ... Tid. inv. nr.: 32 Sida: 13
Typ
Äldre inventarium
Datum
1803
Text
Konung Fredrik den I:s kläder, bestående af Rock, väst och böxor af blått kläde h. sida: i ett skåp till vänster i lilla mittel Rumet Tid. inv. nr.: 536 Sida: 73 Nr. i föreg. inv.: 30 Sida i föreg.inv.: 12
Typ
Äldre inventarium
Datum
1855
Text
1 Rock af blått fint Kläde fodrad med Skarlakan och försedd med förgylde messingsknappar. Rocken har 4 hål, genom hwilka Kulorne gått, hwarwid en allenast träffat låret. (i marg. Lif Rust. Inv. No 536) 1 Wäst af dito, fodrad med rödt sidentyg och försedd med förgyllde Messingsknappar. På högra framskörtet är ett hål der Kulan har träffat. 1 par Byxor af dito, fodrade med hwitt Taft hwarpå blådet ännu synes der kulan i högra låret träffat. (:Desse klädespersedlar begagnades af Konungen den 27 Februarii 1716, då han såsom Generalissimus öfwer Swenska Arméen kl. 9 f.m. blef skjuten i högra låret, under en rekognosering i Norrige:) Tillskrivet i marginalen: Lif Rust. Inv. G. No 536 Rubrik: Konung Fredric I:s Kläder Sida: 13 Nr. i föreg. inv.: 75 Anmärkning: sid 21 ex B
Typ
Äldre inventarium
Datum
1866
Text
Klädning, bestående af: Rock af fint blått kläde, fodrad med skarlakan, försedd med tvärfickor och djupa lock samt förgylda messingsknappar; å rocken fyra hål efter kulor, deraf tre å högra skörtet. Wäst af blått kläde, fodrad med rödt sidentyg och liksom rocken försedd med djupa tvärfickor samt förgylda messingsknappar; å högra skörtet hål efter en muskötkula; Ett par byxor af blått kläde, fodrade med hvitt taft, försedda med förgylda messingsknappar, å högra sidan klädet och fodret uppslitet, fodret fläckadt af blod. Kon. Fredrik I. Klädningen begagnades af Fredrik, då han, såsom generalissimus för svenska hären, kl. 9 f.m. d. Febr. 1716 blef skjuten i högra låret under en recognoscering i Norge. Tid. inv. nr.: 3478
Typ
Äldre inventarium
Datum
1821
Text
En Råck af fint blått Kläde, fodrad med Chalakan, samt förgyldte Mässings Knappar, varandes på högar framskörten af Råcken 4 hål, där Kulorna igenomgått, men en allenast träffat Låret. En Wäst af fint blått Kläde, fodrad med rödt Sidentyg, samt förgyldta MässingsKnappar, varandes på högra framskörtet ett hål, där Kulan träffat. Ett par Byxor af fint blått Kläde fodrade med hvitt Tafft, hvarpå Blodet ännu Synes, där Kulan i högra Låret genomgått och träffat. På h. sida - Flyttade till Kgl Slottet År 1823 Rubrik: Högst Salig Hans Majst Konung Fredrics Kläder, som han hafft på sig då han den 27 Februarij 1716 som Arf Prins af Hessen Cassel, samt Generalissimus vid Svenska Arméen Klockan 9 förmiddagen blef skute Tid. inv. nr.: 536 Sida: 9 Nr. i föreg. inv.: 536
Typ
Äldre inventarium
Datum
1850
Text
1 Råck af fint blått kläde, fodrad med charlakan och försedd med förgylde messingsknappar. Råcken har 4 hål, genom hwilka kulorne gått, hwarwid en allenast träffat låret. 1 Wäst af dito, fodrad med rödt sidentyg och försedd med förgyllde messingsknappar. På högra framskörtet är ett hål, der kulan träffat. 1 par Byxor af dito, fodrade med hwitt taft, hwarpå blodet ännu synes der kulan i högra låret träffat. /Desse klädespersedlar begagnades af Konungen den 27 Febr. 1716, då han såsom Generalissimus öfwer Swenska Arméen kl. 9 f.m. blef skjuten i högra låret, udner en rekognoscering i Norige:/ Rubrik: Konung Fredriks kläder Tid. inv. nr.: 75 Sida: 38 Nr. i föreg. inv.: 536
Utställningar
Livrustkammaren nya basutställning 2018 (LRK bas) (start 2018-12-08), Livrustkammaren
URI
https://samlingar.shm.se/object/65B981AD-6FB2-48C1-A822-DD8DA718FC68
URI har kopierats

All textinformation (metadata) på denna sida är fri att använda enligt licensen CC0.
Mer information om licenser hos Statens historiska museer.

Media: Bonnevier, Helena. Livrustkammaren/SHM, (CC BY 4.0) Du får bearbeta och dela verket för alla ändamål, även kommersiella, så länge du anger upphovsperson och licensgivare.

Ladda ner media Information om bilden