Föremål

Mässhake

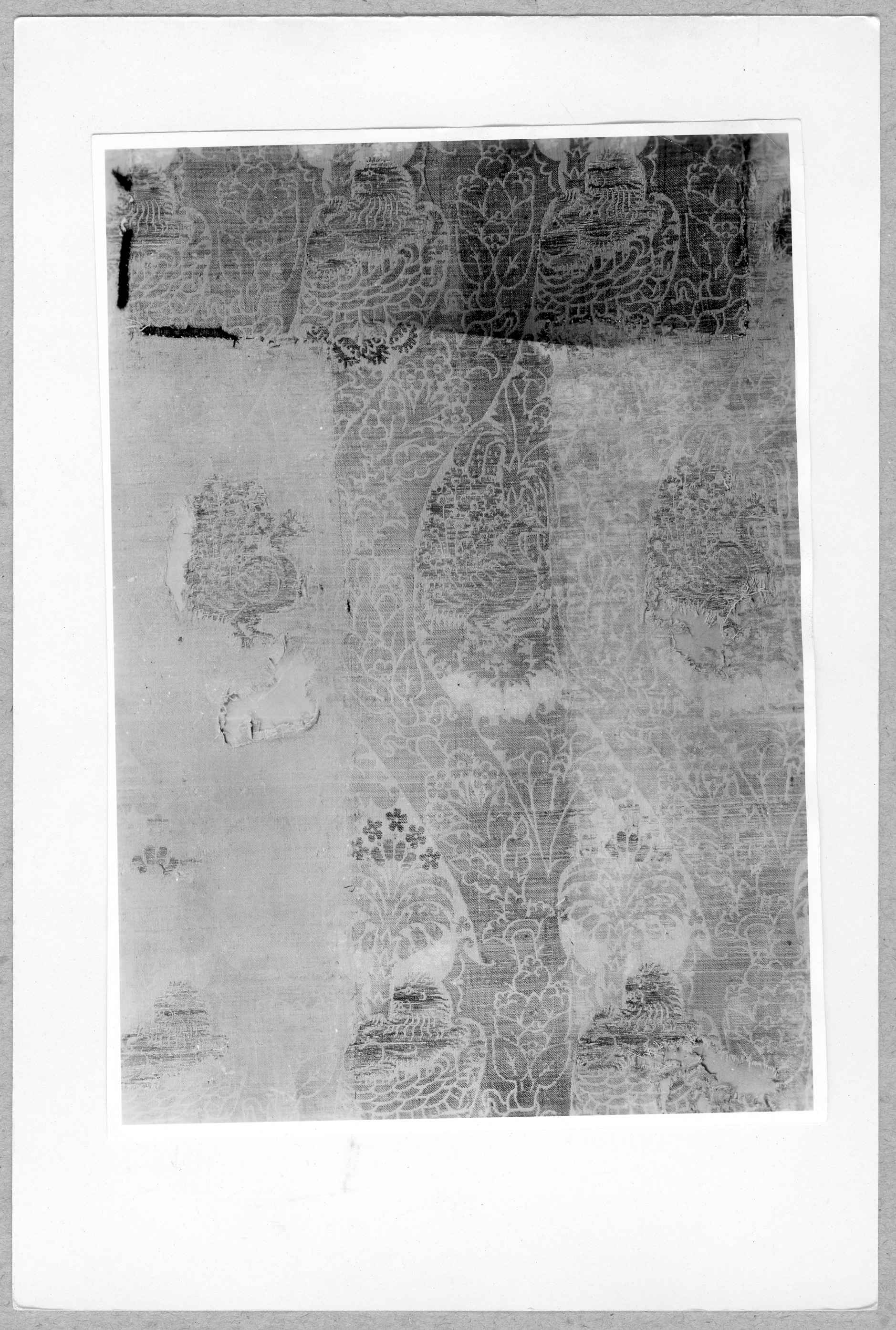
Grön tarmguldsbrokad med mönster av djur och rankor. Italien. Gåva till SHM 1920./ SHM Tyget ursprungligen rött, nu blekbrunt. Den gröna färgen har bevarats under platsen för korset. Här kan man se att det gröna inslaget varit lite varierande i färg, då väven ser lite inslagsrandig ut. Om detta varit fallet vid produktionen är svårt att veta, men troligen har det det gröna garnet varit mer homogent vid vävningen. /MN

Museum
Historiska museet
Föremålsbenämning
Kategori
Material
Storlek
  • Längd 1700 mm
  • Bredd 770 mm
Teknik
Brokad (Yttertyg)
Antal
1
Datering
1350 – 1400
Tidsperiod
Föremålsnummer
95942_HST
Förvärvsnummer
Omnämns i katalog
Förvärvsdatum
1920
Fyndplats
URI
https://samlingar.shm.se/object/60C59D74-E5EA-42B2-B9AA-35F0EB8D6BE3
URI har kopierats

All textinformation (metadata) på denna sida är fri att använda enligt licensen CC0.
Mer information om licenser hos Statens historiska museer.

Media: Hildebrand, Gabriel. Historiska museet/SHM, (CC BY 4.0) Du får bearbeta och dela verket för alla ändamål, även kommersiella, så länge du anger upphovsperson och licensgivare.

Ladda ner media Information om bilden